사건번호 2024 타경 11855(1)
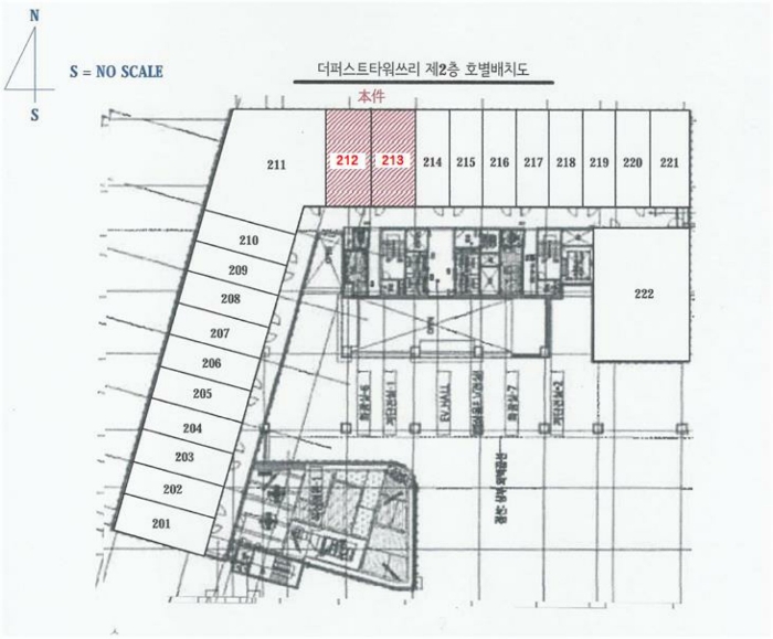
본건은 경기도 화성시 영천동 836-1 더퍼스트타워쓰리 제2층 제212호
소재하는 아파트형공장경매 물건의 포스팅입니다.
건물면적 [ 61.56㎡ (18.62평) ]
대지권 [ 20.24㎡ (6.12평) ]
시세를 반영한 감정가 442,000,000에서
5회 유찰되어 감정가 대비 17%
최저가 74,286,000부터
입찰에 참여할 수 있습니다.
입찰보증금은 최저가 10%
7,428,600이며,
수원지방법원 경매11계에서
2026-04-14(10:00)
진행 예정입니다.
| 소재지 | [지번] 경기도 화성시 영천동 836-1 더퍼스트타워쓰리 제2층 제212호 [도로명 주소] 경기도 화성시 동탄기흥로 602 더퍼스트타워쓰리 제2층 제212호 |
||||
|---|---|---|---|---|---|
| 용도 | 아파트형공장 | 채권자 | ㈜** | 감정가 | 442,000,000 |
| 건물면적 | 61.56㎡ (18.62평) | 채무자 | 정** | 최저가 | (17%) 74,286,000 |
| 대지권 | 20.24㎡ (6.12평) | 소유자 | 정** | 보증금 | (10%) 7,428,600 |
| 매각대상 | 경매종류 | 임의경매 | 사건접수일 | 2024-10-23 | |
| 최초경매일 | 2026-04-14 | 배당종기일 | 2025-01-13 | 경매개시일 | 2024-10-24 |
| 주의사항 | ☞ 여기 눌러 무료상담 받아보기 | ||||
기일내역
| 회차 | 매각기일 | 최저매각금액 | 결과 |
|---|---|---|---|
| 신건 | 2025-08-11 | 442,000,000 | 유찰 |
| 2차 | 2025-09-10 | 309,400,000 | 유찰 |
| 3차 | 2025-10-21 | 216,580,000 | 유찰 |
| 4차 | 2025-11-21 | 151,606,000 | 유찰 |
| 5차 | 2025-12-23 | 106,124,000 | 유찰 |
| 2026-02-02 | 74,286,000 | 변경 | |
| 6차 | 2026-04-14 | 74,286,000 |
임차인현황
| 임차인 | 점유현황 | 전입/확정/배당 |
|---|---|---|
| i** | 상가임차인 박푸름 |
확정 : X / 배당 : X |
| i** | 상가임차인 주식회사블루트리컴퍼니(고유진) |
확정 : X / 배당 : X |





















