서공장경매 서구 가좌동 173-618 №2024 타경 577785

차별화된 5단계 맞춤형 경매 서비스 - 더블옥션
법원경매전문 (주)더블옥션은 보증보험 가입 및 법원 매수대리 등록업체로 안전하고 책임있는 컨설팅을 진행합니다. 등록번호(02-17-3)
사건번호 2024 타경 577785

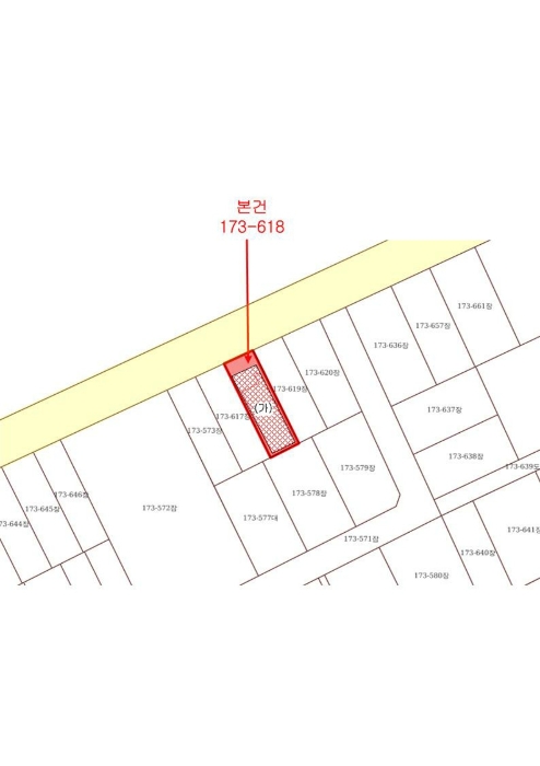
본건은 인천광역시 서구 가좌동 173-618
소재하는 공장경매 물건의 포스팅입니다.

건물면적 [ 692.26㎡ (209.41평) ]
토지면적 [ 400㎡ (121평) ]

시세를 반영한 감정가 1,731,311,840에서
신건으로 감정가 대비 100%
최저가 1,731,311,840부터
입찰에 참여할 수 있습니다.

입찰보증금은 최저가 10%
173,131,184이며,
인천지방법원 경매24계에서
2026-04-23(10:00)
진행 예정입니다.

소재지 [지번] 인천광역시 서구 가좌동 173-618
[도로명 주소] 인천광역시 서구 보도진로 96-1
용도 공장 채권자 중** 감정가 1,731,311,840
건물면적 692.26㎡ (209.41평) 채무자 ㈜** 최저가 (100%) 1,731,311,840
토지면적 400㎡ (121평) 소유자 ㈜** 보증금 (10%) 173,131,184
매각대상 경매종류 임의경매 사건접수일 2024-11-28
최초경매일 2026-04-23 배당종기일 2025-02-21 경매개시일 2024-11-29
주의사항 ☞ 여기 눌러 무료상담 받아보기

기일내역

회차 매각기일 최저매각금액 결과
신건 2026-04-23 1,731,311,840
정확한 권리 분석, 꼼꼼한 현장 조사, 예상 낙찰가 제안, 대출 연계, 점유자 이전 - 더블옥션

임차인현황

임차인 점유현황 전입/확정/배당
조사된 임차인 내역 없음
더블옥션은 법원 등록 및 보증 보험 가입 업체로 안전하고 성공적인 당신의 비즈니스를 지원합니다. - 더블옥션
건물의 전경
도로명 주소
1층 내부현황
1층 내부현항
1층 내부현황
1층 내부현황
2층 내부현황
3층내부현황
공장출입문




건 물 개 황 도
건 물 개 황 도
위 치 도
위 치 도
지 적 도
부동산 경매 전문기업 - 더블옥션

Related Posts