원주주택경매 원주시 문막읍 후용리 502-8 №2024 타경 2151

차별화된 5단계 맞춤형 경매 서비스 - 더블옥션
법원경매전문 (주)더블옥션은 보증보험 가입 및 법원 매수대리 등록업체로 안전하고 책임있는 컨설팅을 진행합니다. 등록번호(02-17-3)
사건번호 2024 타경 2151

본건은 강원특별자치도 원주시 문막읍 후용리 502-8
소재하는 근린주택경매 물건의 포스팅입니다.

건물면적 [ 765.27㎡ (231.49평) ]
토지면적 [ 771㎡ (233.23평) ]

시세를 반영한 감정가 1,449,478,800에서
1회 유찰되어 감정가 대비 70%
최저가 1,014,635,000부터
입찰에 참여할 수 있습니다.

입찰보증금은 최저가 10%
101,463,500이며,
원주지원 경매1계에서
2026-04-06(10:00)
진행 예정입니다.

소재지 [지번] 강원특별자치도 원주시 문막읍 후용리 502-8
[도로명 주소] 강원도 원주시 문막읍 견훤로 856
용도 근린주택 채권자 원** 감정가 1,449,478,800
건물면적 765.27㎡ (231.49평) 채무자 장** 최저가 (70%) 1,014,635,000
토지면적 771㎡ (233.23평) 소유자 김**외1명 보증금 (10%) 101,463,500
매각대상 경매종류 임의경매 사건접수일 2024-07-22
최초경매일 2026-04-06 배당종기일 2024-10-22 경매개시일 2024-07-23
주의사항 ☞ 여기 눌러 무료상담 받아보기

기일내역

회차 매각기일 최저매각금액 결과
신건 2026-03-09 1,449,478,800 유찰
2차 2026-04-06 1,014,635,000
정확한 권리 분석, 꼼꼼한 현장 조사, 예상 낙찰가 제안, 대출 연계, 점유자 이전 - 더블옥션

임차인현황

임차인 점유현황 전입/확정/배당
i** 주거임차인
정용찬
전입 : 2022-01-18 / 확정 : X / 배당 : X
i** 주거임차인 전입 : 2022-01-21 / 확정 : 2024-08-08 / 배당 : 2024-08-08
i** 주거임차인
김원민
전입 : 2022-12-23 / 확정 : X / 배당 : X
i** 주거임차인
정민주
전입 : 2023-01-12 / 확정 : X / 배당 : X
i** 주거임차인
윤여진
전입 : 2023-02-24 / 확정 : 2023-02-24 / 배당 : 2024-08-20
i** 주거임차인
손혜민
전입 : 2024-02-01 / 확정 : X / 배당 : X
i** 주거임차인
오문희
전입 : 2024-03-05 / 확정 : X / 배당 : X
i** 주거임차인
장서윤
전입 : 2024-04-08 / 확정 : X / 배당 : X
더블옥션은 법원 등록 및 보증 보험 가입 업체로 안전하고 성공적인 당신의 비즈니스를 지원합니다. - 더블옥션
제시 외 ㄱ
제시 외 ㄴ
제시 외 ㄷ
제시 외 ㄹ
1층 카페
2층
3층
4층
본건 주변 전경
일련번호(1,2) 전경(북서측에서 촬영)
일련번호(2) 1층 내부 전경
일련번호(2) 2층 내부 전경
일련번호(2) 4층 내부 전경
일련번호(2) 옥탑층 소재 제시외물건㉠ 전경
일련번호(2) 1층 소재
일련번호(1,2) 전경(남서측에서 촬영)
일련번호(2) 전경
일련번호(2) 1층 내부 전경
일련번호(2) 3층 내부 전경
일련번호(2) 옥탑층 전경
일련번호(2) 1층 소재
일련번호(2) 1층 소재
건 물 개 황 도
건 물 개 황 도
상 세 위 치 도
광 역 위 치 도
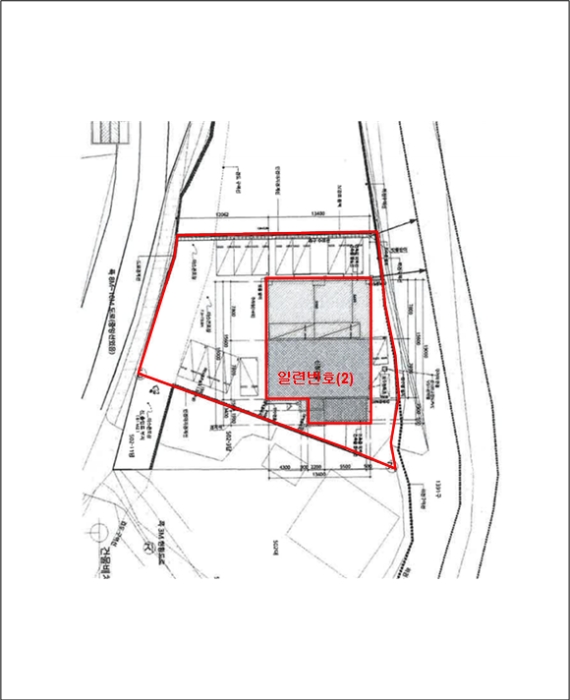
지 적 개 황 도
부동산 경매 전문기업 - 더블옥션

Related Posts