연수상가경매 연수구 송도동 10-94 이든메디타워 제1층 제112호 №2025 타경 509059

차별화된 5단계 맞춤형 경매 서비스 - 더블옥션
법원경매전문 (주)더블옥션은 보증보험 가입 및 법원 매수대리 등록업체로 안전하고 책임있는 컨설팅을 진행합니다. 등록번호(02-17-3)
사건번호 2025 타경 509059

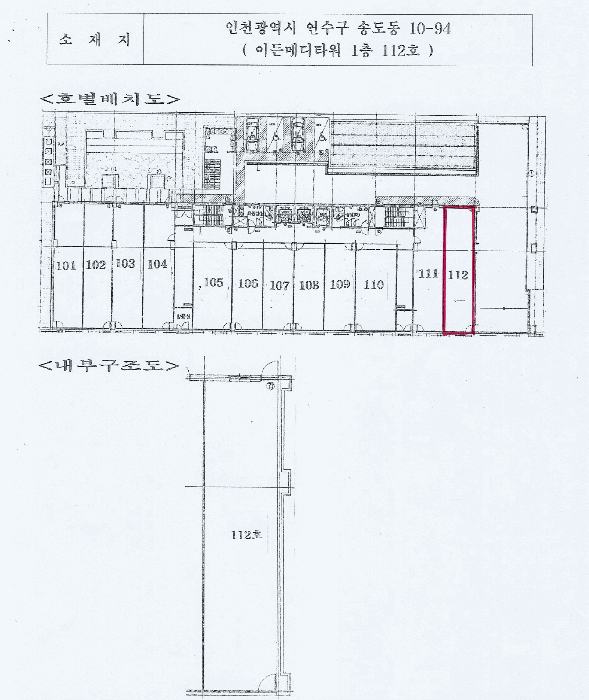
본건은 인천광역시 연수구 송도동 10-94 이든메디타워 제1층 제112호
소재하는 근린상가경매 물건의 포스팅입니다.

건물면적 [ 75.68㎡ (22.89평) ]
대지권 [ 31.45㎡ (9.51평) ]

시세를 반영한 감정가 1,880,000,000에서
2회 유찰되어 감정가 대비 49%
최저가 921,200,000부터
입찰에 참여할 수 있습니다.

입찰보증금은 최저가 10%
92,120,000이며,
인천지방법원 경매13계에서
2026-01-05(10:00)
진행 예정입니다.

소재지 [지번] 인천광역시 연수구 송도동 10-94 이든메디타워 제1층 제112호
[도로명 주소] 인천광역시 연수구 하모니로188번길 8 이든메디타워 제1층 제112호
용도 근린상가 채권자 농** 감정가 1,880,000,000
건물면적 75.68㎡ (22.89평) 채무자 정** 최저가 (49%) 921,200,000
대지권 31.45㎡ (9.51평) 소유자 김**외1명 보증금 (10%) 92,120,000
매각대상 경매종류 임의경매 사건접수일 2025-04-30
최초경매일 2026-01-05 배당종기일 2025-07-15 경매개시일 2025-05-14
주의사항 ☞ 여기 눌러 무료상담 받아보기

기일내역

회차 매각기일 최저매각금액 결과
신건 2025-10-15 1,880,000,000 유찰
2차 2025-11-24 1,316,000,000 유찰
3차 2026-01-05 921,200,000
정확한 권리 분석, 꼼꼼한 현장 조사, 예상 낙찰가 제안, 대출 연계, 점유자 이전 - 더블옥션

임차인현황

임차인 점유현황 전입/확정/배당
조사된 임차인 내역 없음
더블옥션은 법원 등록 및 보증 보험 가입 업체로 안전하고 성공적인 당신의 비즈니스를 지원합니다. - 더블옥션
주위환경
본건 전경
본건 출입문
건물전경
도로명주소
본건 부동산 전경
출입문 및 안내장
본건 부동산 전경2
건 물 개 황 도
위 치 도
부동산 경매 전문기업 - 더블옥션

Related Posts