사건번호 2024 타경 2338
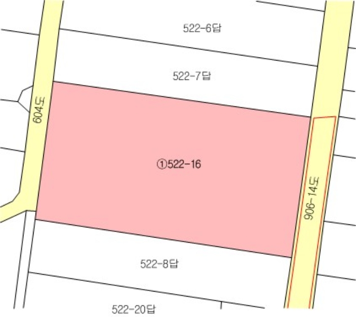
본건은 경상남도 창녕군 남지읍 학계리 522-16
소재하는 농지경매 물건의 포스팅입니다.
토지면적 [ 5190㎡ (1569.97평) ]
시세를 반영한 감정가 1,681,560,000에서
3회 유찰되어 감정가 대비 34%
최저가 576,775,000부터
입찰에 참여할 수 있습니다.
입찰보증금은 최저가 10%
57,677,500이며,
밀양지원 경매1계에서
2025-12-08(10:00)
진행 예정입니다.
| 소재지 | [지번] 경상남도 창녕군 남지읍 학계리 522-16 | ||||
|---|---|---|---|---|---|
| 용도 | 농지 | 채권자 | 영** | 감정가 | 1,681,560,000 |
| 건물면적 | – | 채무자 | 민** | 최저가 | (34%) 576,775,000 |
| 토지면적 | 5190㎡ (1569.97평) | 소유자 | 민** | 보증금 | (10%) 57,677,500 |
| 매각대상 | 경매종류 | 임의경매 | 사건접수일 | 2024-09-10 | |
| 최초경매일 | 2025-12-08 | 배당종기일 | 2024-12-11 | 경매개시일 | 2024-09-11 |
| 주의사항 | ☞ 여기 눌러 무료상담 받아보기 | ||||
기일내역
| 회차 | 매각기일 | 최저매각금액 | 결과 |
|---|---|---|---|
| 신건 | 2025-08-04 | 1,681,560,000 | 유찰 |
| 2차 | 2025-09-15 | 1,177,092,000 | 유찰 |
| 3차 | 2025-10-27 | 823,964,000 | 유찰 |
| 4차 | 2025-12-08 | 576,775,000 |
임차인현황
| 임차인 | 점유현황 | 전입/확정/배당 |
|---|---|---|
| 조사된 임차인 내역 없음 | ||















