영월공장경매 영월군 영월읍 팔괴리 1233 №2024 타경 1222

차별화된 5단계 맞춤형 경매 서비스 - 더블옥션
법원경매전문 (주)더블옥션은 보증보험 가입 및 법원 매수대리 등록업체로 안전하고 책임있는 컨설팅을 진행합니다. 등록번호(02-17-3)
사건번호 2024 타경 1222

본건은 강원특별자치도 영월군 영월읍 팔괴리 1233
소재하는 공장경매 물건의 포스팅입니다.

건물면적 [ 2768.27㎡ (837.4평) ]
토지면적 [ 5802.1㎡ (1755.13평) ]

시세를 반영한 감정가 1,887,569,000에서
1회 유찰되어 감정가 대비 70%
최저가 1,321,298,000부터
입찰에 참여할 수 있습니다.

입찰보증금은 최저가 10%
132,129,800이며,
영월지원 경매2계에서
2025-10-28(10:00)
진행 예정입니다.

소재지 [지번] 강원특별자치도 영월군 영월읍 팔괴리 1233
[도로명 주소] 강원도 영월군 영월읍 팔괴로 280-35
용도 공장 채권자 농** 감정가 1,887,569,000
건물면적 2768.27㎡ (837.4평) 채무자 ㈜** 최저가 (70%) 1,321,298,000
토지면적 5802.1㎡ (1755.13평) 소유자 ㈜** 보증금 (10%) 132,129,800
매각대상 법정지상권 경매종류 임의경매 사건접수일 2024-07-09
최초경매일 2025-10-28 배당종기일 2024-12-16 경매개시일 2024-09-10
주의사항 ☞ 여기 눌러 무료상담 받아보기

기일내역

회차 매각기일 최저매각금액 결과
신건 2025-09-16 1,887,569,000 유찰
2차 2025-10-28 1,321,298,000
정확한 권리 분석, 꼼꼼한 현장 조사, 예상 낙찰가 제안, 대출 연계, 점유자 이전 - 더블옥션

임차인현황

임차인 점유현황 전입/확정/배당
i** 주거임차인
주거용
전입 : 2018-03-02 / 확정 : X / 배당 : X
i** 공장임차인
공장 2층50㎡(사무동15평)2022.07.01.~2024.06.30.
전입 : / 확정 : X / 배당 : 2024-12-16
더블옥션은 법원 등록 및 보증 보험 가입 업체로 안전하고 성공적인 당신의 비즈니스를 지원합니다. - 더블옥션
기호 1번 지상에 소재하는 것으로 보이는 제시외 철골조 천막지붕 창고(신청외 민익기 소유)
기호 1번 지상에 소재하는 것으로 보이는 제시외 철골조 천막지붕 창고(신청외 민익기 소유)
기호 1번 지상에 소재하는 것으로 보이는 제시외 이동가능한 컨테이너(신청외 민익기 소유)
기호 1번 지상에 소재하는 것으로 보이는 제시외 이동가능한 컨테이너(신청외 민익기 소유)
기호 1번 지상에 소재하는 것으로 보이는 제시외 이동가능한 컨테이너(신청외 민익기 소유)
기호 1번 지상에 소재하는 것으로 보이는 제시외 이동가능한 컨테이너(신청외 민익기 소유)
기호 1번 지상에 소재하는 것으로 보이는 제시외 이동가능한 컨테이너(신청외 민익기 소유)
기호 2번(2층공장) 근거리에서 촬영한 것임
기호 2번(2층공장) 근거리에서 촬영한 것임
기호 1번 근거리에서 촬영한 것임
기호 1번 근거리에서 촬영한 것임
기호 1번 근거리에서 촬영한 것임
기호 1번 근거리에서 촬영한 것임
기호 1번 근거리에서 촬영한 것임
기호 1번 근거리에서 촬영한 것임
기호 1번 근거리에서 촬영한 것임
기호 1번 근거리에서 촬영한 것임
기호 1번 근거리에서 촬영한 것임
기호 1번 근거리에서 촬영한 것임
기호 1번 근거리에서 촬영한 것임
기호 1번 근거리에서 촬영한 것임
기호 2번(2층공장)과 일체형으로 사용중인 제시외 조립식판넬조 물탱크실
기호 2번(2층공장)과 일체형으로 사용중인 제시외 조립식판넬조 판넬지붕 창고(신청외 민익기 소유)
기호 2번(단층경비실) 근거리에서 촬영한 것임
기호 2번(단층창고) 근거리에서 촬영한 것임
기호 2번(2층공장 및 단층창고)과 일체형으로 사용중인 제시외 일반철골구조 창고(통로)
기호 2번(2층공장) 내부에 소재하고 있는 제시외 수변전시설
기호 2번(2층공장) 내부에 소재하고 있는 제시외 호이스트크레인(신청외 민익기 소유)
본건 기계기구 관련
본건 기계기구 관련
본건 기계기구 관련
기 계 기 구 배 치 도
일련번호(1) 전경
일련번호(2)(공장) 2층 내부
기계기구(5)
기계기구(9)
기계기구(13)
기계기구(16)
제시외기계기구(ㄷ)(수변전설비)
본건 지상 소재 타인소유 주장 컨테이너
본건 지상 소재 타인소유 주장 제시외건물
본건 주위환경
일련번호(2)(경비실) 전경
기계기구(6)
기계기구(10)
기계기구(14)
제시외건물(ㄱ)
제시외기계기구(ㄷ)(수변전설비)
본건 지상 소재 타인소유 주장 컨테이너
본건 지상 소재 타인소유 주장 제시외건물
일련번호(2)(공장) 전경
일련번호(2)(창고) 전경
기계기구(7)
기계기구(11)
기계기구(14)
제시외건물(ㄱ) 내부
본건 지상 소재 타인소유 주장 컨테이너
본건 지상 소재 타인소유 주장 컨테이너
본건 지상 소재 타인소유 주장 호이스트 등
일련번호(2)(공장) 1층 내부
일련번호(2)(창고) 내부
기계기구(8)
기계기구(12)
기계기구(15)
제시외건물(ㄴ)
본건 지상 소재 타인소유 주장 컨테이너
본건 지상 소재 타인소유 주장 제시외건물
내 부 구 조 도
내 부 구 조 도
내 부 구 조 도
내 부 구 조 도
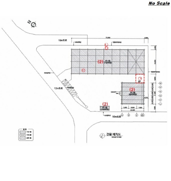
건 물 개 황 도
위 치 도
광 역 위 치 도
지 적 도
부동산 경매 전문기업 - 더블옥션

Related Posts