태안공장경매 태안군 근흥면 신진도리 79 외 2필지 №2024 타경 53077

차별화된 5단계 맞춤형 경매 서비스 - 더블옥션
법원경매전문 (주)더블옥션은 보증보험 가입 및 법원 매수대리 등록업체로 안전하고 책임있는 컨설팅을 진행합니다. 등록번호(02-17-3)
사건번호 2024 타경 53077

본건은 충청남도 태안군 근흥면 신진도리 79 외 2필지
소재하는 공장경매 물건의 포스팅입니다.

건물면적 [ 1012.14㎡ (306.17평) ]
토지면적 [ 1104㎡ (333.96평) ]

시세를 반영한 감정가 695,070,820에서
2회 유찰되어 감정가 대비 49%
최저가 340,585,000부터
입찰에 참여할 수 있습니다.

입찰보증금은 최저가 10%
34,058,500이며,
서산지원 경매5계에서
2025-10-14(10:00)
진행 예정입니다.

소재지 [지번] 충청남도 태안군 근흥면 신진도리 79 외 2필지
[도로명 주소] 충남 태안군 근흥면 신진도길 44-11외 2필지
용도 공장 채권자 태** 감정가 695,070,820
건물면적 1012.14㎡ (306.17평) 채무자 전** 최저가 (49%) 340,585,000
토지면적 1104㎡ (333.96평) 소유자 전** 보증금 (10%) 34,058,500
매각대상 위반건축물 경매종류 임의경매 사건접수일 2024-04-01
최초경매일 2025-10-14 배당종기일 2024-07-08 경매개시일 2024-04-05
주의사항 ☞ 여기 눌러 무료상담 받아보기

기일내역

회차 매각기일 최저매각금액 결과
신건 2025-08-05 695,070,820 유찰
2차 2025-09-09 486,550,000 유찰
3차 2025-10-14 340,585,000
정확한 권리 분석, 꼼꼼한 현장 조사, 예상 낙찰가 제안, 대출 연계, 점유자 이전 - 더블옥션

임차인현황

임차인 점유현황 전입/확정/배당
i** 공장임차인
공장 건물 전체2019.06.25.~2021.06.25.
전입 : / 확정 : X / 배당 : X
더블옥션은 법원 등록 및 보증 보험 가입 업체로 안전하고 성공적인 당신의 비즈니스를 지원합니다. - 더블옥션
[목록 2] 동쪽에서 바라본 모습
[목록 4] 지상 2층의 복도 모습
[목록 4] 지상 2층 소재 주택 외벽에 증축한 것으로 보이는 제시외 건물의 모습
[목록 4] 지상 2층 소재 주택 옆에 소재한 숙소로 보이는 제시외 건물의 모습
[목록 4] 지상 1층에 소재한 기계기구 목록 3번 냉풍건조지세트의 모습
[목록 4] 지상 1층 내부의 모습
[목록 4] 지상 1층 내부의 모습
[목록 4] 지상 1층에 신진도리 80 지상에 소재한 공장으로 왕래하는 통로의 모습
[목록 4] 지상 2층 외부의 모습
[목록 4] 공장 내부 및 주택으로 들어가는 대문 주변의 모습
[목록 4] 북동쪽에서 바라본 모습
[목록 4] 남쪽에 증축한 것으로 보이는 제시외 건물의 모습
[목록 4] 북쪽 경계 부분의 모습
[목록 4] 지상 1층 내부의 모습
[목록 4] 지상 1층 내부의 모습
[목록 1] 동쪽 가장자리 지상의 모습
[목록 1] 남서쪽 가장자리 지상의 모습
[목록 1, 2, 3, 4] 남동쪽에서 바라본 모습
[목록 3] 북쪽에서 바라본 모습
[목록 4] 지상 1층 내부의 모습
[목록 4] 지상 1층 내부의 모습
[목록 4] 지상 1층 내부의 모습
[목록 4] 지상 1층 내부의 모습
[목록 4] 지상 1층에 소재한 기계기구 목록 3번 냉풍건조지세트 보관 장소의 외부 모습
본건 외부전경
본건 기계기구 3번
제시외건물 ㉠
제시외건물 ㉢, ㉦
제시외건물 ㉤
제시외건물 ㉦
옆건물로 이어지는 내부통로
본건 건물 1층 내부전경
본건 기계기구 3번 내부전경
제시외건물 ㉡
제시외건물 ㉣
제시외건물 ㉥
컨테이너
본건 주변전경
기계기구 배치도
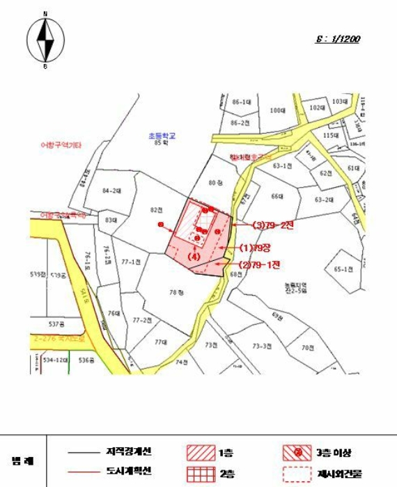
본건 지적 참고도
건 물 개 황 도
위 치 도
광 역 위 치 도
지적 및 건물개황도
부동산 경매 전문기업 - 더블옥션

Related Posts