사건번호 2024 타경 2871
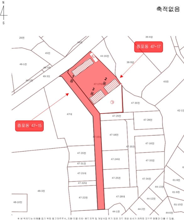
본건은 경기도 이천시 증포동 47-17 1동외 1필지
소재하는 근린시설경매 물건의 포스팅입니다.
건물면적 [ 730㎡ (220.82평) ]
토지면적 [ 전체:3024㎡ (914.76평)
매각지분:2184㎡ (660.66평) ]
시세를 반영한 감정가 3,753,266,000에서
신건으로 감정가 대비 100%
최저가 3,753,266,000부터
입찰에 참여할 수 있습니다.
입찰보증금은 최저가 10%
375,326,600이며,
여주지원 경매6계에서
2025-07-16(10:00)
진행 예정입니다.
| 소재지 | [지번] 경기도 이천시 증포동 47-17 1동외 1필지 [도로명 주소] 경기도 이천시 황무로1042번길 27(증포동) 1동 |
||||
|---|---|---|---|---|---|
| 용도 | 근린시설 | 채권자 | ㈜** | 감정가 | 3,753,266,000 |
| 건물면적 | 730㎡ (220.82평) | 채무자 | ㈜** | 최저가 | (100%) 3,753,266,000 |
| 토지면적 | 전체:3024㎡ (914.76평) 매각지분:2184㎡ (660.66평) |
소유자 | ㈜** | 보증금 | (10%) 375,326,600 |
| 매각대상 | 건물전부, 토지지분 | 경매종류 | 임의경매 | 사건접수일 | 2024-05-10 |
| 최초경매일 | 2025-07-16 | 배당종기일 | 2024-08-29 | 경매개시일 | 2024-05-24 |
| 주의사항 | ☞ 여기 눌러 무료상담 받아보기 | ||||
기일내역
| 회차 | 매각기일 | 최저매각금액 | 결과 |
|---|---|---|---|
| 신건 | 2025-07-16 | 3,753,266,000 |
임차인현황
| 임차인 | 점유현황 | 전입/확정/배당 |
|---|---|---|
| i** | 상가임차인 점포 |
전입 : / 확정 : X / 배당 : X |





































