사건번호 2024 타경 111176
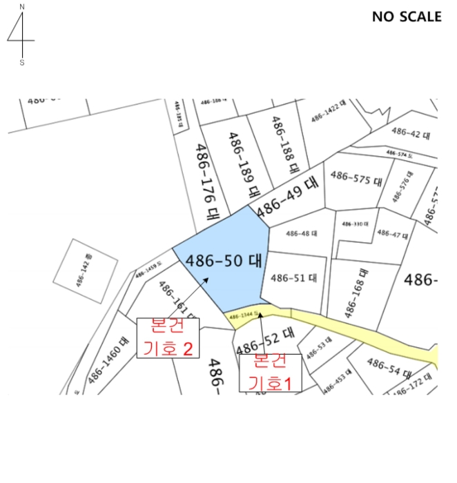
본건은 서울특별시 강북구 수유동 486-1344 외 1필지
소재하는 도로경매 물건의 포스팅입니다.
토지면적 [ 전체:311㎡ (94.08평)
매각지분:293.5㎡ (88.78평) ]
시세를 반영한 감정가 1,141,250,000에서
2회 유찰되어 감정가 대비 64%
최저가 730,400,000부터
입찰에 참여할 수 있습니다.
입찰보증금은 최저가 10%
73,040,000이며,
서울북부지방법원 경매3계에서
2025-07-08(10:00)
진행 예정입니다.
| 소재지 | [지번] 서울특별시 강북구 수유동 486-1344 외 1필지 | ||||
|---|---|---|---|---|---|
| 용도 | 도로 | 채권자 | 동** | 감정가 | 1,141,250,000 |
| 건물면적 | – | 채무자 | 이** | 최저가 | (64%) 730,400,000 |
| 토지면적 | 전체:311㎡ (94.08평) 매각지분:293.5㎡ (88.78평) |
소유자 | 이** | 보증금 | (10%) 73,040,000 |
| 매각대상 | 지분매각 | 경매종류 | 임의경매 | 사건접수일 | 2024-06-21 |
| 최초경매일 | 2025-07-08 | 배당종기일 | 2024-09-04 | 경매개시일 | 2024-06-24 |
| 주의사항 | ☞ 여기 눌러 무료상담 받아보기 | ||||
기일내역
| 회차 | 매각기일 | 최저매각금액 | 결과 |
|---|---|---|---|
| 신건 | 2025-04-29 | 1,141,250,000 | 유찰 |
| 2025-06-03 | 913,000,000 | 변경 | |
| 2차 | 2025-06-04 | 913,000,000 | 유찰 |
| 3차 | 2025-07-08 | 730,400,000 |
임차인현황
| 임차인 | 점유현황 | 전입/확정/배당 |
|---|---|---|
| 조사된 임차인 내역 없음 | ||





















