사건번호 2024 타경 509393
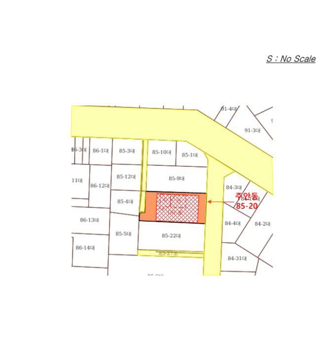
본건은 인천광역시 미추홀구 주안동 85-20 블리츠호텔
소재하는 숙박시설경매 물건의 포스팅입니다.
건물면적 [ 1919.8㎡ (580.74평) ]
토지면적 [ 429.2㎡ (129.83평) ]
시세를 반영한 감정가 4,389,740,400에서
1회 유찰되어 감정가 대비 70%
최저가 3,072,818,000부터
입찰에 참여할 수 있습니다.
입찰보증금은 최저가 10%
307,281,800이며,
인천지방법원 경매25계에서
2025-06-23(10:00)
진행 예정입니다.
| 소재지 | [지번] 인천광역시 미추홀구 주안동 85-20 블리츠호텔 [도로명 주소] 인천광역시 미추홀구 석바위로96번길 6 블리츠호텔 |
||||
|---|---|---|---|---|---|
| 용도 | 숙박시설 | 채권자 | 인** | 감정가 | 4,389,740,400 |
| 건물면적 | 1919.8㎡ (580.74평) | 채무자 | 김** | 최저가 | (70%) 3,072,818,000 |
| 토지면적 | 429.2㎡ (129.83평) | 소유자 | 김** | 보증금 | (10%) 307,281,800 |
| 매각대상 | 위반건축물 | 경매종류 | 임의경매 | 사건접수일 | 2024-02-19 |
| 최초경매일 | 2025-06-23 | 배당종기일 | 2024-05-17 | 경매개시일 | 2024-02-20 |
| 주의사항 | ☞ 여기 눌러 무료상담 받아보기 | ||||
기일내역
| 회차 | 매각기일 | 최저매각금액 | 결과 |
|---|---|---|---|
| 신건 | 2025-05-16 | 4,389,740,400 | 유찰 |
| 2차 | 2025-06-23 | 3,072,818,000 |
임차인현황
| 임차인 | 점유현황 | 전입/확정/배당 |
|---|---|---|
| i** | 주거임차인 주거용 |
전입 : 2023-11-14 / 확정 : X / 배당 : X |


































