사건번호 2024 타경 105371
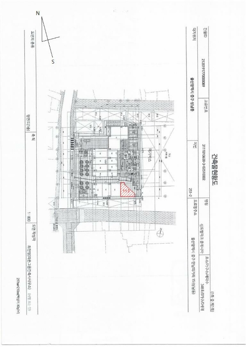
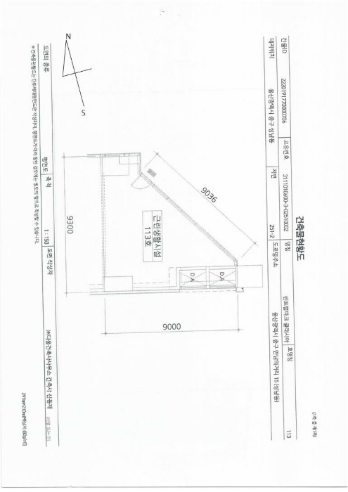
본건은 울산광역시 중구 성남동 251-2 센트럴파크클래시아 제1층 제113호
소재하는 근린상가경매 물건의 포스팅입니다.
건물면적 [ 48.14㎡ (14.56평) ]
대지권 [ 6.64㎡ (2.01평) ]
시세를 반영한 감정가 1,250,000,000에서
2회 유찰되어 감정가 대비 49%
최저가 612,500,000부터
입찰에 참여할 수 있습니다.
입찰보증금은 최저가 10%
61,250,000이며,
울산지방법원 경매1계에서
2025-06-17(10:00)
진행 예정입니다.
| 소재지 | [지번] 울산광역시 중구 성남동 251-2 센트럴파크클래시아 제1층 제113호 [도로명 주소] 울산광역시 중구 만남의거리 15 센트럴파크클래시아 제1층 제113호 |
||||
|---|---|---|---|---|---|
| 용도 | 근린상가 | 채권자 | 장** | 감정가 | 1,250,000,000 |
| 건물면적 | 48.14㎡ (14.56평) | 채무자 | ㈜** | 최저가 | (49%) 612,500,000 |
| 대지권 | 6.64㎡ (2.01평) | 소유자 | 시** | 보증금 | (10%) 61,250,000 |
| 매각대상 | 선순위전세권 | 경매종류 | 임의경매 | 사건접수일 | 2024-04-05 |
| 최초경매일 | 2025-06-17 | 배당종기일 | 2024-07-01 | 경매개시일 | 2024-04-08 |
| 주의사항 | ☞ 여기 눌러 무료상담 받아보기 | ||||
기일내역
| 회차 | 매각기일 | 최저매각금액 | 결과 |
|---|---|---|---|
| 신건 | 2025-04-01 | 1,250,000,000 | 유찰 |
| 2차 | 2025-05-13 | 875,000,000 | 유찰 |
| 3차 | 2025-06-17 | 612,500,000 |
임차인현황
| 임차인 | 점유현황 | 전입/확정/배당 |
|---|---|---|
| i** | 상가임차인 1층113호 |
전입 : / 확정 : X / 배당 : X |
| i** | 상가임차인 1층113호 |
전입 : / 확정 : X / 배당 : X |
















