사건번호 2024 타경 7587(5)
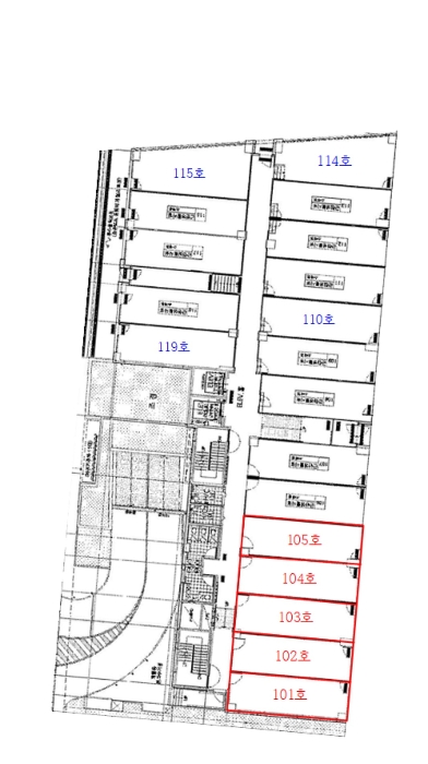
본건은 경기도 고양시 덕양구 지축동 1034-1 리더플렉스블루 제1층 제105호
소재하는 근린상가경매 물건의 포스팅입니다.
건물면적 [ 39.6㎡ (11.98평) ]
대지권 [ 13.02㎡ (3.94평) ]
시세를 반영한 감정가 870,000,000에서
2회 유찰되어 감정가 대비 49%
최저가 426,300,000부터
입찰에 참여할 수 있습니다.
입찰보증금은 최저가 10%
42,630,000이며,
고양지원 경매14계에서
2025-06-19(10:00)
진행 예정입니다.
| 소재지 | [지번] 경기도 고양시 덕양구 지축동 1034-1 리더플렉스블루 제1층 제105호 [도로명 주소] 경기도 고양시 덕양구 지정로 17 리더플렉스블루 제1층 제105호 |
||||
|---|---|---|---|---|---|
| 용도 | 근린상가 | 채권자 | 신** | 감정가 | 870,000,000 |
| 건물면적 | 39.6㎡ (11.98평) | 채무자 | 농** | 최저가 | (49%) 426,300,000 |
| 대지권 | 13.02㎡ (3.94평) | 소유자 | 농** | 보증금 | (10%) 42,630,000 |
| 매각대상 | 경매종류 | 임의경매 | 사건접수일 | 2024-10-07 | |
| 최초경매일 | 2025-06-19 | 배당종기일 | 2025-01-02 | 경매개시일 | 2024-10-08 |
| 주의사항 | ☞ 여기 눌러 무료상담 받아보기 | ||||
기일내역
| 회차 | 매각기일 | 최저매각금액 | 결과 |
|---|---|---|---|
| 신건 | 2025-04-10 | 870,000,000 | 유찰 |
| 2차 | 2025-05-15 | 609,000,000 | 유찰 |
| 3차 | 2025-06-19 | 426,300,000 |
임차인현황
| 임차인 | 점유현황 | 전입/확정/배당 |
|---|---|---|
| 조사된 임차인 내역 없음 | ||








![[본건 원경]](https://filelab.co.kr/auctionimg/2025/20250327/B2148072024013000758720.jpg)

![[본건 근경]](https://filelab.co.kr/auctionimg/2025/20250327/B2148072024013000758722.jpg)
![[주위환경]](https://filelab.co.kr/auctionimg/2025/20250327/B2148072024013000758723.jpg)







