사건번호 2024 타경 33806
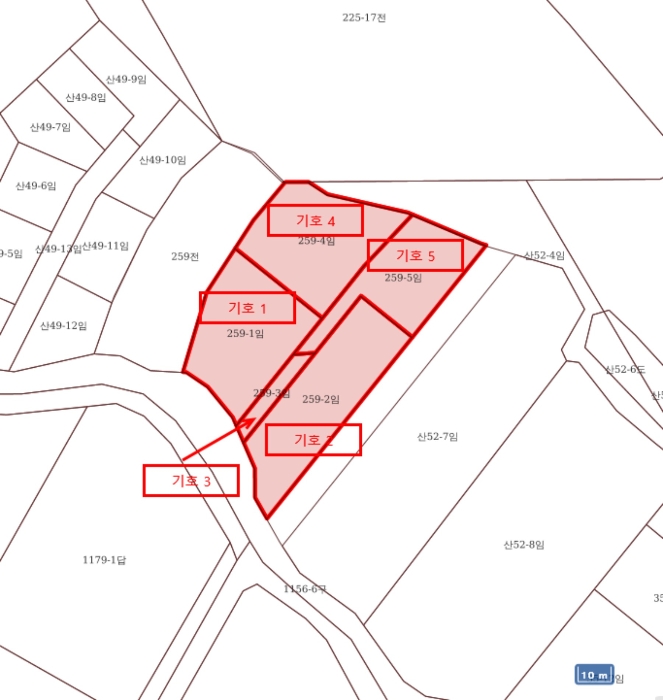
본건은 경기도 이천시 부발읍 아미리 259-1 외 4필지
소재하는 임야경매 물건의 포스팅입니다.
토지면적 [ 3025㎡ (915.06평) ]
시세를 반영한 감정가 601,975,000에서
2회 유찰되어 감정가 대비 49%
최저가 294,968,000부터
입찰에 참여할 수 있습니다.
입찰보증금은 최저가 10%
29,496,800이며,
여주지원 경매3계에서
2025-05-21(10:00)
진행 예정입니다.
| 소재지 | [지번] 경기도 이천시 부발읍 아미리 259-1 외 4필지 | ||||
|---|---|---|---|---|---|
| 용도 | 임야 | 채권자 | 서** | 감정가 | 601,975,000 |
| 건물면적 | – | 채무자 | 주** | 최저가 | (49%) 294,968,000 |
| 토지면적 | 3025㎡ (915.06평) | 소유자 | 이** | 보증금 | (10%) 29,496,800 |
| 매각대상 | 맹지 | 경매종류 | 임의경매 | 사건접수일 | 2024-04-09 |
| 최초경매일 | 2025-05-21 | 배당종기일 | 2024-07-22 | 경매개시일 | 2024-04-11 |
| 주의사항 | ☞ 여기 눌러 무료상담 받아보기 | ||||
기일내역
| 회차 | 매각기일 | 최저매각금액 | 결과 |
|---|---|---|---|
| 신건 | 2025-03-12 | 601,975,000 | 유찰 |
| 2차 | 2025-04-16 | 421,383,000 | 유찰 |
| 3차 | 2025-05-21 | 294,968,000 |
임차인현황
| 임차인 | 점유현황 | 전입/확정/배당 |
|---|---|---|
| 조사된 임차인 내역 없음 | ||


























