사건번호 2024 타경 116875
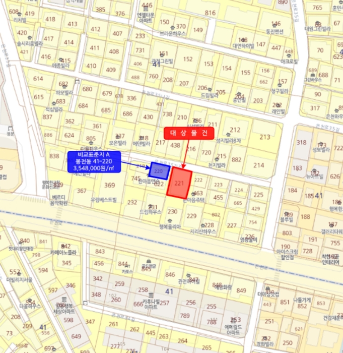
본건은 서울특별시 관악구 봉천동 41-221 아다미성현
소재하는 다가구(원룸등)경매 물건의 포스팅입니다.
건물면적 [ 548.96㎡ (166.06평) ]
토지면적 [ 205㎡ (62.01평) ]
시세를 반영한 감정가 2,599,532,840에서
1회 유찰되어 감정가 대비 80%
최저가 2,079,626,000부터
입찰에 참여할 수 있습니다.
입찰보증금은 최저가 10%
207,962,600이며,
서울중앙지방법원 경매11계에서
2025-05-08(10:00)
진행 예정입니다.
| 소재지 | [지번] 서울특별시 관악구 봉천동 41-221 아다미성현 [도로명 주소] 서울특별시 관악구 은천로35가길 11(봉천동) 아다미성현 |
||||
|---|---|---|---|---|---|
| 용도 | 다가구(원룸등) | 채권자 | 든** | 감정가 | 2,599,532,840 |
| 건물면적 | 548.96㎡ (166.06평) | 채무자 | 박** | 최저가 | (80%) 2,079,626,000 |
| 토지면적 | 205㎡ (62.01평) | 소유자 | 이** | 보증금 | (10%) 207,962,600 |
| 매각대상 | 경매종류 | 임의경매 | 사건접수일 | 2024-08-23 | |
| 최초경매일 | 2025-05-08 | 배당종기일 | 2024-12-30 | 경매개시일 | 2024-08-29 |
| 주의사항 | ☞ 여기 눌러 무료상담 받아보기 | ||||
기일내역
| 회차 | 매각기일 | 최저매각금액 | 결과 |
|---|---|---|---|
| 신건 | 2025-04-03 | 2,599,532,840 | 유찰 |
| 2차 | 2025-05-08 | 2,079,626,000 |
임차인현황
| 임차인 | 점유현황 | 전입/확정/배당 |
|---|---|---|
| i** | 주거임차인 404호 |
전입 : 2020-04-14 / 확정 : 2020-04-14 / 배당 : 2024-09-09 |
| i** | 주거임차인 501호 |
전입 : 2020-05-12 / 확정 : 2020-04-27 / 배당 : 2024-11-29 |
| i** | 주거임차인 402호 |
전입 : 2020-05-26 / 확정 : 2020-05-26 / 배당 : 2024-11-02 |
| i** | 주거임차인 506호 |
전입 : 2020-06-05 / 확정 : 2020-05-20 / 배당 : 2024-09-10 |
| i** | 주거임차인 405호 |
전입 : 2020-07-01 / 확정 : 2020-05-29 / 배당 : 2024-09-26 |
| i** | 주거임차인 406호 |
전입 : 2022-02-08 / 확정 : 2022-01-11 / 배당 : 2024-09-11 |
| i** | 주거임차인 302호 |
전입 : 2022-02-21 / 확정 : 2022-01-24 / 배당 : 2024-11-08 |
| i** | 주거임차인 403호 |
전입 : 2022-02-28 / 확정 : 2022-01-24 / 배당 : 2024-10-16 |
| i** | 주거임차인 505호 |
전입 : 2022-03-30 / 확정 : 2022-03-30 / 배당 : 2024-10-22 |
| i** | 주거임차인 104호 |
전입 : 2022-05-06 / 확정 : 2022-05-13 / 배당 : 2024-11-27 |
| i** | 주거임차인 104호 |
전입 : 2022-05-06 / 확정 : 2022-05-13 / 배당 : 2024-11-27 |
| i** | 주거임차인 304호 |
전입 : 2022-05-30 / 확정 : 2022-04-21 / 배당 : 2024-10-15 |
| i** | 주거임차인 306호 |
전입 : 2022-06-27 / 확정 : 2022-05-23 / 배당 : 2024-09-20 |
| i** | 주거임차인 503호 |
전입 : 2022-07-05 / 확정 : 2022-06-14 / 배당 : 2024-09-13 |
| i** | 주거임차인 305호 |
전입 : 2022-08-16 / 확정 : 2022-07-18 / 배당 : 2024-10-23 |
| i** | 주거임차인 502호 |
전입 : 2022-09-08 / 확정 : 2022-08-17 / 배당 : 2024-10-21 |
| i** | 주거임차인 303호 |
전입 : 2022-10-11 / 확정 : 2022-08-31 / 배당 : 2024-09-13 |
| i** | 주거임차인 201호 |
전입 : 2023-01-06 / 확정 : 2023-01-06 / 배당 : 2024-09-23 |
| i** | 주거임차인 | 전입 : 2023-02-23 / 확정 : X / 배당 : X |
| i** | 주거임차인 203호 |
전입 : 2023-07-31 / 확정 : 2023-07-31 / 배당 : 2024-10-07 |
| i** | 주거임차인 504호 |
전입 : 2023-08-08 / 확정 : 2023-08-08 / 배당 : 2024-09-13 |
| i** | 주거임차인 102호 |
전입 : 2023-11-01 / 확정 : 2023-10-18 / 배당 : 2024-10-17 |
| i** | 주거임차인 | 전입 : 2024-02-13 / 확정 : X / 배당 : X |
| i** | 주거임차인 202호 |
전입 : 2024-02-26 / 확정 : 2024-02-26 / 배당 : 2024-09-26 |
| i** | 주거임차인 204호 |
전입 : 2024-05-28 / 확정 : 2024-05-13 / 배당 : 2024-10-15 |

















