사건번호 2024 타경 140423(2)
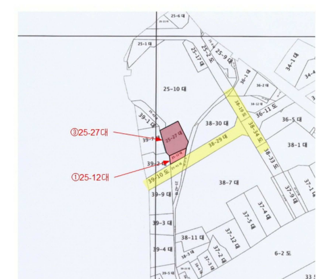
본건은 서울특별시 구로구 오류동 25-27
소재하는 근린시설경매 물건의 포스팅입니다.
건물면적 [ 139.83㎡ (42.3평) ]
토지면적 [ 212㎡ (64.13평) ]
시세를 반영한 감정가 1,878,996,600에서
2회 유찰되어 감정가 대비 64%
최저가 1,202,558,000부터
입찰에 참여할 수 있습니다.
입찰보증금은 최저가 10%
120,255,800이며,
서울남부지방법원 경매10계에서
2026-02-11(10:00)
진행 예정입니다.
| 소재지 | [지번] 서울특별시 구로구 오류동 25-27 [도로명 주소] 서울특별시 구로구 경인로19길 26-15 |
||||
|---|---|---|---|---|---|
| 용도 | 근린시설 | 채권자 | 다** | 감정가 | 1,878,996,600 |
| 건물면적 | 139.83㎡ (42.3평) | 채무자 | ㈜** | 최저가 | (64%) 1,202,558,000 |
| 토지면적 | 212㎡ (64.13평) | 소유자 | ㈜** | 보증금 | (10%) 120,255,800 |
| 매각대상 | 법정지상권 | 경매종류 | 임의경매 | 사건접수일 | 2024-11-04 |
| 최초경매일 | 2026-02-11 | 배당종기일 | 2025-02-10 | 경매개시일 | 2024-11-08 |
| 주의사항 | ☞ 여기 눌러 무료상담 받아보기 | ||||
기일내역
| 회차 | 매각기일 | 최저매각금액 | 결과 |
|---|---|---|---|
| 신건 | 2025-11-12 | 1,878,996,600 | 유찰 |
| 2차 | 2025-12-23 | 1,503,197,000 | 유찰 |
| 3차 | 2026-02-11 | 1,202,558,000 |
임차인현황
| 임차인 | 점유현황 | 전입/확정/배당 |
|---|---|---|
| 조사된 임차인 내역 없음 | ||












