사건번호 2024 타경 18405
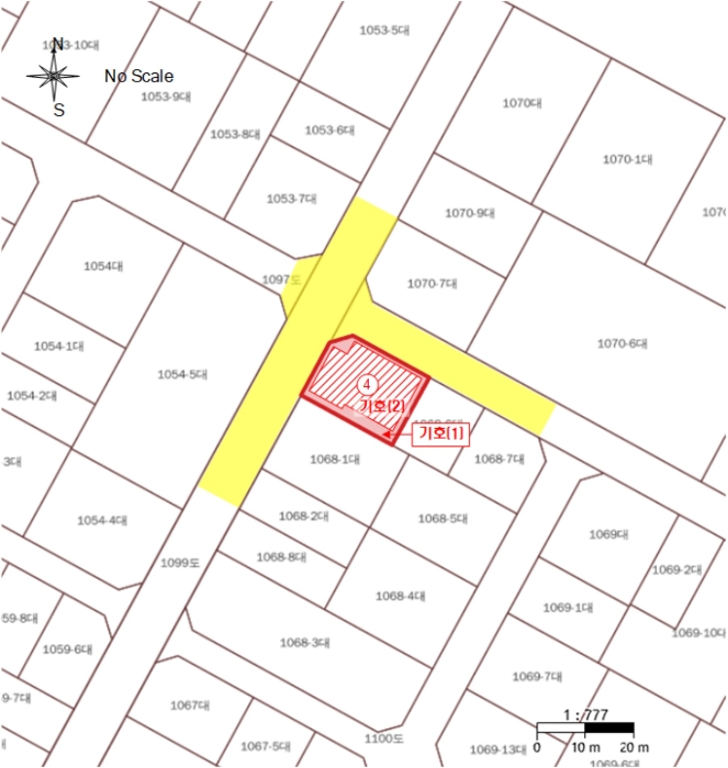
본건은 경상북도 구미시 원평동 1068
소재하는 다가구(원룸등)경매 물건의 포스팅입니다.
건물면적 [ 659.61㎡ (199.53평) ]
토지면적 [ 330㎡ (99.82평) ]
시세를 반영한 감정가 1,289,820,300에서
2회 유찰되어 감정가 대비 49%
최저가 632,011,000부터
입찰에 참여할 수 있습니다.
입찰보증금은 최저가 10%
63,201,100이며,
김천지원 경매2계에서
2026-01-21(10:00)
진행 예정입니다.
| 소재지 | [지번] 경상북도 구미시 원평동 1068 [도로명 주소] 경상북도 구미시 송원서로8길 50 |
||||
|---|---|---|---|---|---|
| 용도 | 다가구(원룸등) | 채권자 | 구** | 감정가 | 1,289,820,300 |
| 건물면적 | 659.61㎡ (199.53평) | 채무자 | 빈** | 최저가 | (49%) 632,011,000 |
| 토지면적 | 330㎡ (99.82평) | 소유자 | 이** | 보증금 | (10%) 63,201,100 |
| 매각대상 | 경매종류 | 임의경매 | 사건접수일 | 2024-11-29 | |
| 최초경매일 | 2026-01-21 | 배당종기일 | 2025-03-05 | 경매개시일 | 2024-12-02 |
| 주의사항 | ☞ 여기 눌러 무료상담 받아보기 | ||||
기일내역
| 회차 | 매각기일 | 최저매각금액 | 결과 |
|---|---|---|---|
| 신건 | 2025-11-19 | 1,289,821,000 | 유찰 |
| 2차 | 2025-12-17 | 902,874,000 | 유찰 |
| 3차 | 2026-01-21 | 632,011,000 |
임차인현황
| 임차인 | 점유현황 | 전입/확정/배당 |
|---|---|---|
| i** | 주거임차인 505호 |
전입 : 2015-11-23 / 확정 : X / 배당 : X |
| i** | 주거임차인 203호 |
전입 : 2017-05-02 / 확정 : X / 배당 : X |
| i** | 주거임차인 305호 |
전입 : 2017-10-25 / 확정 : X / 배당 : X |
| i** | 주거임차인 307호 |
전입 : 2018-09-12 / 확정 : X / 배당 : X |
| i** | 주거임차인 503호 |
전입 : 2018-10-16 / 확정 : 2018-10-04 / 배당 : 2025-02-24 |
| i** | 주거임차인 306호 |
전입 : 2019-04-11 / 확정 : X / 배당 : X |
| i** | 주거임차인 303호 |
전입 : 2019-06-18 / 확정 : 2019-06-08 / 배당 : 2025-02-14 |
| i** | 주거임차인 203호 |
전입 : 2020-01-21 / 확정 : 2020-01-07 / 배당 : 2025-02-24 |
| i** | 주거임차인 501gh |
전입 : 2021-03-08 / 확정 : 2021-03-12 / 배당 : 2025-03-04 |
| i** | 주거임차인 505호 |
전입 : 2022-01-17 / 확정 : 2021-12-28 / 배당 : 2025-02-24 |
| i** | 주거임차인 506호 |
전입 : 2022-07-22 / 확정 : 2022-07-22 / 배당 : 2025-01-07 |
| i** | 주거임차인 202호 |
전입 : 2023-10-24 / 확정 : 2023-10-24 / 배당 : 2024-12-31 |
| i** | 주거임차인 207호 |
전입 : 2024-02-01 / 확정 : 2025-01-02 / 배당 : 2025-03-06 |
| i** | 주거임차인 302호 |
전입 : 2024-02-13 / 확정 : 2024-02-13 / 배당 : 2025-02-06 |
| i** | 주거임차인 301호 |
전입 : 2024-09-19 / 확정 : X / 배당 : X |


































