사건번호 2025 타경 62936
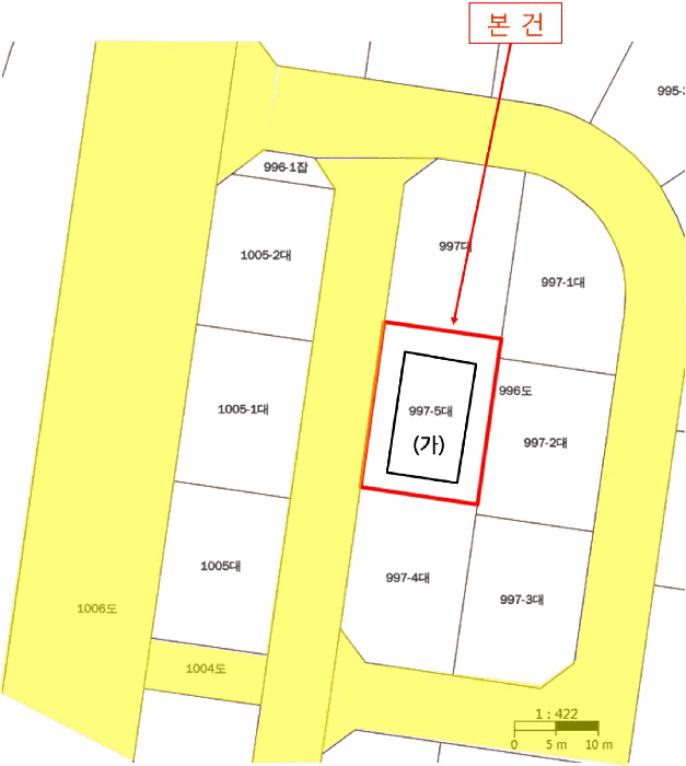
본건은 경기도 파주시 목동동 997-5
소재하는 다가구(원룸등)경매 물건의 포스팅입니다.
건물면적 [ 233.31㎡ (70.58평) ]
토지면적 [ 275.6㎡ (83.37평) ]
시세를 반영한 감정가 1,124,581,280에서
3회 유찰되어 감정가 대비 34%
최저가 385,732,000부터
입찰에 참여할 수 있습니다.
입찰보증금은 최저가 10%
38,573,200이며,
고양지원 경매5계에서
2025-12-30(10:00)
진행 예정입니다.
| 소재지 | [지번] 경기도 파주시 목동동 997-5 [도로명 주소] 경기도 파주시 산내로 46-26 |
||||
|---|---|---|---|---|---|
| 용도 | 다가구(원룸등) | 채권자 | 김**외1명 | 감정가 | 1,124,581,280 |
| 건물면적 | 233.31㎡ (70.58평) | 채무자 | 리**외1명 | 최저가 | (34%) 385,732,000 |
| 토지면적 | 275.6㎡ (83.37평) | 소유자 | 김**외1명 | 보증금 | (10%) 38,573,200 |
| 매각대상 | 토지전부, 건물지분, 대항력있는임차인, 선순위가처분 | 경매종류 | 강제경매 | 사건접수일 | 2025-04-17 |
| 최초경매일 | 2025-12-30 | 배당종기일 | 2025-07-21 | 경매개시일 | 2025-04-28 |
| 주의사항 | ☞ 여기 눌러 무료상담 받아보기 | ||||
기일내역
| 회차 | 매각기일 | 최저매각금액 | 결과 |
|---|---|---|---|
| 신건 | 2025-09-09 | 1,124,581,280 | 유찰 |
| 2차 | 2025-10-21 | 787,207,000 | 유찰 |
| 3차 | 2025-11-25 | 551,045,000 | 유찰 |
| 4차 | 2025-12-30 | 385,732,000 |
임차인현황
| 임차인 | 점유현황 | 전입/확정/배당 |
|---|---|---|
| i** | 주거임차인 일부(단독주택 2호약138.05㎡ |
전입 : 2021-12-13 / 확정 : 2021-12-16 / 배당 : 2024-01-09 |
| i** | 주거임차인 1호 |
전입 : 2022-05-17 / 확정 : X / 배당 : 2025-04-28 |



























