사건번호 2025 타경 32603
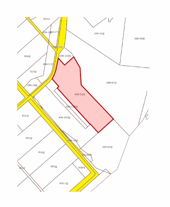
본건은 경기도 김포시 대곶면 대벽리 690-52
소재하는 공장경매 물건의 포스팅입니다.
건물면적 [ 4373㎡ (1322.83평) ]
토지면적 [ 7485㎡ (2264.2평) ]
시세를 반영한 감정가 6,804,210,000에서
1회 유찰되어 감정가 대비 70%
최저가 4,762,947,000부터
입찰에 참여할 수 있습니다.
입찰보증금은 최저가 10%
476,294,700이며,
부천지원 경매3계에서
2025-12-23(10:00)
진행 예정입니다.
| 소재지 | [지번] 경기도 김포시 대곶면 대벽리 690-52 [도로명 주소] 경기도 김포시 대곶면 대곶남로 53-47 |
||||
|---|---|---|---|---|---|
| 용도 | 공장 | 채권자 | ㈜** | 감정가 | 6,804,210,000 |
| 건물면적 | 4373㎡ (1322.83평) | 채무자 | 김** | 최저가 | (70%) 4,762,947,000 |
| 토지면적 | 7485㎡ (2264.2평) | 소유자 | 김** | 보증금 | (10%) 476,294,700 |
| 매각대상 | 대항력있는임차인 | 경매종류 | 강제경매 | 사건접수일 | 2025-02-14 |
| 최초경매일 | 2025-12-23 | 배당종기일 | 2025-05-12 | 경매개시일 | 2025-02-18 |
| 주의사항 | ☞ 여기 눌러 무료상담 받아보기 | ||||
기일내역
| 회차 | 매각기일 | 최저매각금액 | 결과 |
|---|---|---|---|
| 신건 | 2025-11-11 | 6,804,210,000 | 유찰 |
| 2차 | 2025-12-23 | 4,762,947,000 |
임차인현황
| 임차인 | 점유현황 | 전입/확정/배당 |
|---|---|---|
| i** | 공장임차인 | 확정 : X / 배당 : X |
| i** | 공장임차인 | 확정 : X / 배당 : X |
| i** | 공장임차인 | 확정 : X / 배당 : X |
| i** | 공장임차인 | 확정 : X / 배당 : X |
| i** | 공장임차인 | 확정 : X / 배당 : X |












































