사건번호 2024 타경 64876
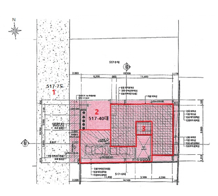
본건은 경기도 광주시 신현동 517-40외 1필지
소재하는 주택경매 물건의 포스팅입니다.
건물면적 [ 301.81㎡ (91.3평) ]
토지면적 [ 전체:984㎡ (297.66평)
매각지분:319.31㎡ (96.59평) ]
시세를 반영한 감정가 1,090,035,753에서
1회 유찰되어 감정가 대비 70%
최저가 763,025,000부터
입찰에 참여할 수 있습니다.
입찰보증금은 최저가 10%
76,302,500이며,
성남지원 경매6계에서
2025-10-27(10:00)
진행 예정입니다.
| 소재지 | [지번] 경기도 광주시 신현동 517-40외 1필지 [도로명 주소] 경기도 광주시 오포읍 새말길 277-6외 1필지 |
||||
|---|---|---|---|---|---|
| 용도 | 주택 | 채권자 | ㈜** | 감정가 | 1,090,035,753 |
| 건물면적 | 301.81㎡ (91.3평) | 채무자 | 최** | 최저가 | (70%) 763,025,000 |
| 토지면적 | 전체:984㎡ (297.66평) 매각지분:319.31㎡ (96.59평) |
소유자 | 최** | 보증금 | (10%) 76,302,500 |
| 매각대상 | 건물전부, 토지지분 | 경매종류 | 임의경매 | 사건접수일 | 2024-08-23 |
| 최초경매일 | 2025-10-27 | 배당종기일 | 2024-10-29 | 경매개시일 | 2024-08-23 |
| 주의사항 | ☞ 여기 눌러 무료상담 받아보기 | ||||
기일내역
| 회차 | 매각기일 | 최저매각금액 | 결과 |
|---|---|---|---|
| 신건 | 2025-09-22 | 1,090,035,753 | 유찰 |
| 2차 | 2025-10-27 | 763,025,000 |
임차인현황
| 임차인 | 점유현황 | 전입/확정/배당 |
|---|---|---|
| 조사된 임차인 내역 없음 | ||




























